
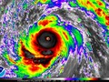
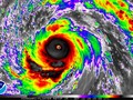
Siêu bão Goni, với sức gió 215 km/giờ và gió giật 265 km/giờ, dự kiến sẽ gây ra tình trạng sạt lở đất trong hôm Chủ nhật tuần này. Đây là cơn bão mạnh nhất chuẩn bị đổ bộ vào Philippines kể từ khi siêu bão Haiyan khiến hơn 6.300 người dân nước này thiệt mạng vào tháng 11/2013.
Các cuộc sơ tán đã bắt đầu sớm tại nhiều khu vực cộng đồng dân cư sinh sống ven biển và những nơi dễ xảy ra sạt lở đất ở tỉnh Camarines Norte và Camarines Sur, trong khi chính quyền tỉnh Albay chỉ thị người dân ở những khu vực nhiều rủi ro rời khỏi nhà; một quan chức phòng chống thảm họa địa phương nói với đài DZBB. “Sức mạnh của cơn bão này là không thể đùa được”; ông nói.
Cơn bão Molave hồi tuần trước đã khiến 22 người thiệt mạng, phần lớn ở các tỉnh nằm ở phía Nam thủ đô Manila – dự kiến cũng nằm trên đường đi của siêu bão Goni, cơn bão nhiệt đới thứ 18 đổ bộ vào đất nước này.
Chính quyền các cấp ở Philippines còn đang phải đối mặt với khó khăn khác, bởi vẫn phải duy trì biện pháp giãn cách xã hội để chống dịch COVID-19 tại các trung tâm sơ tán. Philippines hiện ghi nhận số ca nhiễm và tử vong do COVID-19 cao thứ hai trong khu vực Đông Nam Á, chỉ sau Indonesia.
Hàng cứu trợ, máy móc hạng nặng và trang thiết bị bảo hộ cá nhân đã được chuyển tới sẵn những khu vực quan trọng; ông Filipino Grace America, Thị trưởng thành phố Infanta thuộc tỉnh Quezon, nói với đài DZBB. “Nhưng do đại dịch COVID-19, các nguồn quỹ để khắc phục thảm họa của chúng tôi hiện không đủ”; ông nói.
Giới chức địa phương đã hủy các hoạt động tại nhiều cảng biển và chỉ thị cho các tàu đánh cá neo đậu.
Siêu bão Goni, đang từ vùng biển Thái Bình Dương di chuyển về phía Tây với tốc độ 20 km/giờ, dự kiến sẽ kéo theo lượng mưa lớn ở thủ đô Manila và 14 tỉnh lân cận trong chiều tối hôm 31/10, và có khả năng gây ra tình trạng lũ lụt và sạt lở đất.
Một cơn bão khác, Atsani, cũng đang tăng cường sức mạnh ở ngay sát Philippines. Được biết, mỗi năm Philippines hứng chịu khoảng 20 cơn bão nhiệt đới.