
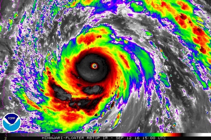
Với sức gió lên tới 172,8 km/h, bão Mertanti đã đổ bộ, tấn công Trung Quốc. Tuy nhiên, đến nay chưa thể có thông tin cập nhật cụ thể về thiệt hại về người và của.
Theo báo chí Trung Quốc, Meranti là cơn bão mạnh nhất thế giới trong năm nay tính đến thời điểm này và cũng là cơn bão mạnh nhất đổ bộ vào phía Nam tỉnh Phúc Kiến kể từ khi các số liệu địa phương được lưu giữ năm 1949.
Công ty điện lực thành phố Hạ Môn cho biết bão Meranti đã làm hư hại nghiêm trọng hệ thống đường dây điện, gây ra tình trạng mất điện trên diện rộng.
Bão Meranti tràn vào đúng kỳ nghỉ lễ Trung Thu kéo dài 3 ngày. Nhiều trường học tại các thành phố duyên hải Phúc Châu, Hạ Môn, Chương Châu, Tuyền Châu và Phủ Điền của Phúc Kiến đã phải đóng cửa vào ngày 14/9 để phòng bão.
Cơ quan quản lý đường sắt tại Nam Xương, tỉnh Giang Tây đã hủy 144 chuyến tàu hỏa hoạt động từ ngày 14-17/9. Trước đó, bão Meranti đã quét qua cực phía Nam Đài Loan làm 1 người thiệt mạng và 38 người bị thương.
Trường học, công sở tại nhiều quận phải đóng cửa. Đa số các chuyến bay nội địa bị hủy bỏ, trong đó có tất cả các chuyến bay cất cánh từ sân bay Cao Hùng. Nhiều chuyến bay quốc tế ở sân bay này cũng bị ảnh hưởng nghiêm trọng.