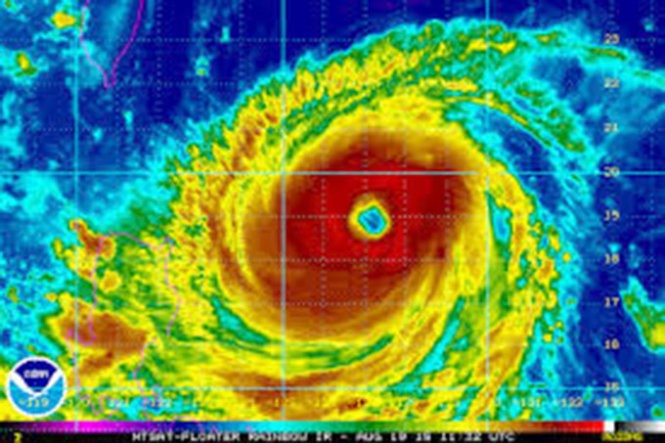
Trang Weather.com cho biếtlúc 14gngày21-8, cơn bão mang sức gió mạnh ở vùng gần tâm cấp 15, giật trên cấp 17 đã đi qua khu vực phía đông bắc đảo Luzon của Philippines. Sức gió mạnh nhất ở vùng gần tâm bão mạnh cấp 15 (từ 165-185 km/giờ), giật trên cấp 17.
Dự kiến cơn bão mang theo mưa lớn dọc khu vực phía bắc và tây bắc đảo Luzon. Chính quyền nơi đây đang lo ngại nó sẽ gây ra lũ quét và sạt lở đất tại nhiều nơi trong khu vực.
Tác động của cơn bão được dự kiến ảnh hưởng đến Philippines trong nhiều tuần tới, trong đó thủ đô Manila cũng không nằm ngoài tầm tác động.
Sau khi đi qua Philippines, bão Goni sẽ đổ bộ qua khu vực phía bắc và đông Đài Loan vào cuối tuần. Tuy được dự đoán là sẽ gây nguy hiểm ít hơn so với Philippines, cơn bão cũng đe dọatạo nên mưa lớn và sạt lở đất.
![]() |
| Bản đồ những nơi chịu tác động của siêu bão Goni - Ảnh: Accuweather |
Dự báo trong 24 giờ tới, bão sẽ di chuyển chủ yếu theo hướng bắc, mỗi giờ đi được khoảng 5-10km. Trong khoảng 24-48 giờ tiếp theo, bão sẽ di chuyển theo hướng bắc đông bắc, mỗi giờ đi được khoảng 15km.
Từ chủ nhật đến thứhai tới, bão sẽ quét qua khu vực phía bắc Đài Loan và quần đảo Ryukyu của Nhật Bản. Trong khi khu vực phía bắc Đài Loan được dự báo là không bị tác động sâu rộng, thì cơn bão dự kiếngây nhiều ảnh hưởng tiêu cực lên quần đảo của Nhật Bản.
Ngoài ra, do ảnh hưởng của gió tây nam hoạt động mạnh, khu vực phía nam Biển Đông, trong đó có quần đảo Trường Sa và vùng biển từ Bình Thuận đến Cà Mau, sẽ hứng chịu đợt gió tây nam mạnh cấp 5, có lúc cấp 6, giật cấp 7-8 gây mưa dông rải rác.
HẢI YẾN theo Tuổi Trẻ
