
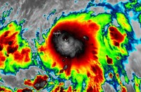
Đây là cơn bão nhiệt đới mạnh nhất trực tiếp tấn công vào trung tâm tài chính của Trung Quốc trong hơn 7 thập kỷ qua.
Với tốc độ gió mạnh nhất lên tới 151 km/ giờ gần tâm bão, Bebinca đã đổ bộ vào thành phố có gần 25 triệu cư dân vào khoảng 7 giờ 30 sáng 16/9 (giờ địa phương). Đây là cơn bão mạnh nhất tấn công Thượng Hải kể từ cơn bão Gloria vào năm 1949.
Trước đó, ngày 15/9, chính quyền Thượng Hải đã dừng các tuyến giao thông, triệu hồi tàu thuyền và đóng cửa các điểm du lịch, bao gồm cả khu nghỉ dưỡng Disney Thượng Hải, để chuẩn bị ứng phó với bão Bebinca.
Hơn 414.000 người đã được cơ quan chức năng cảnh báo, di dời đến khu vực an toàn. Tàu phà qua lại Thượng Hải và đảo Sùng Minh, hòn đảo lớn thứ ba Trung Quốc và được coi là "cửa ngõ vào sông Trường Giang" cũng đã ngừng hoạt động. Về hệ thống hàng không, 600 chuyến bay đến và đi từ Thượng Hải cũng bị hủy.
Tại Chiết Giang, các tàu thuyền cũng được gọi về bờ neo đậu tránh bão. Một số công viên ở thủ phủ Hàng Châu cũng thông báo đóng cửa.
Đài truyền hình nhà nước Trung Quốc CCTV đưa tin hơn 2.500 đội cứu hộ với 56.000 nhân viên đều được trang bị, sẵn sàng đối phó khi cơn bão đổ bộ. Bên cạnh đó, Sở Công an cũng đã tập hợp 12.000 nhân viên cứu hỏa, với 415 kho vật liệu phòng chống lũ lụt sẵn sàng được triển khai.

Trước đó, theo Cục Quản lý Thiên văn, Địa vật lý và Khí quyển Philippines (PAGASA), bão nhiệt đới Bebinca hình thành ngày 10/9 ở phía Tây Thái Bình Dương và dự kiến sẽ mạnh lên khi di chuyển về phía Tây Bắc.

Trung Quốc chuẩn bị cho trận cuồng phong với sức gió 162 km/giờ sau bão Yagi

Bão Bebinca có khả năng mạnh lên cuồng phong
